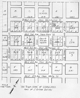
Old Town Plat of Corsicana
Navarro County, Texas


HOME


Map Index || City of Corsicana
 

oldplt.jpg (40701 bytes)

Old Town Plat of Corsicana

On the 1st of May, 1848, a sale of Town lots was had, at which lots were sold, to the amount of seventeen hundred and eighty-five dollars, for which notes with security were taken, falling due 12 and 18 months from date.

The land on which Corsicana was located was originally granted to a Mexican settler, Jesus Ortez, by virtue of his certificate of settlement, dated March 16th, 1838. This certificate was traded and passed through several hands, prior to its final location; being at one time owned by G. A. Campbell, and finally passing to David R. Mitchell, who was Surveyor of Robertson County Land District.

He held in his name the title to this for himself and associates Thos. I. Smith and J. C. Neill.

The title was finally cleared, and the hundred acres known as the "Old Town Plot" was conveyed to the Commissioners on June 30th, 1850.

History of Navarro County
Annie Carpenter Love
Southwest Press, Dallas, TX - 1933


Navarro County TXGenWeb
© Copyright March, 2009
Edward L. Williams & Barbara Knox